| | ||||||||
| New York State | ||||||||
| NOTÍCIAS | ||||||||
| New York State to Eliminate Cash Option for Paying Tolls For motorists in New York, the only things that may rival death and taxes as certainties are traffic and tolls — the latter of which, for the better part of the ...
| ||||||||
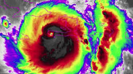
Florida Governor: State Could Be Facing 'Biggest Evacuation Ever' With Hurricane Matthew FORT LAUDERDALE, Fla. (CBSNewYork/AP) — Hurricane Matthew marched toward Florida, Georgia and the Carolinas and nearly 2 million people ...
| ||||||||
| New, locally based service to deliver New York products "We've been collecting outstanding edibles from our travels across New York State and are extremely excited to share these unique finds with our ...
| ||||||||
| State Cops Accuse New Jersey Man of DWI in North Salem over Sept. 30-Oct. 2 Weekend In an effort to combat intoxicated and impaired drivers throughout Westchester County, the New York State Police made 10 DWI related arrests ...
| ||||||||
| Você recebeu este e-mail porque se inscreveu nos Alertas do Google. |
Receber este alerta como feed RSS |
| Feedback sobre o Google+ |
0 comentários:
Postar um comentário